Enlaces para accesibilidad

Iota es un "catastrófico" huracán categoría 5 antes de llegar a Centroamérica


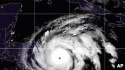
El núcleo del huracán Iota tocará tierra en el noreste de Nicaragua en la noche del lunes 16 de noviembre de 2020, y se disipará en América Central el miércoles, según el Centro Nacional de Huracanes de EE.UU.
El núcleo del huracán Iota tocará tierra en el noreste de Nicaragua en la noche del lunes 16 de noviembre de 2020, y se disipará en América Central el miércoles, según el Centro Nacional de Huracanes de EE.UU.

El huracán Iota, cercano a impactar en horas de la noche del lunes la zona de Centroamérica recientemente golpeada por Eta-, se fortaleció rápidamente desde la mañana hasta convertirse en una tormenta de categoría 5, con vientos máximos sostenidos de 260 kilómetros por hora (160 millas por hora), según informó el Centro Nacional de Huracanes de Estados Unidos.

De acuerdo al reporte de las 7:00 p.m., Iota se encontraba a unos 90 kilómetros (55 millas) al este-sureste de Puerto Cabezas, Nicaragua, y se mueve hacia el oeste a 15 kph (9 mph). En la madrugada del lunes, Iota era un huracán categoría 3.

"Se pronostica que Iota continúe como un catastrófico huracán categoría 5 (en la escala Saffir-Simpson) cuando se aproxime a América Central esta noche y se espera un debilitamiento rápido luego que toque tierra", dijo el centro en un reporte.

El núcleo del huracán tocará tierra en el noreste de Nicaragua esta noche, y se disipará en América Central el miércoles, añadió.

El servicio ha advertido que inundaciones y deslizamientos de tierra en Honduras y Nicaragua podrían empeorar por lo efectos recientes del huracán Eta, resultando en impactos significativos a potencialmente catastróficos.

Una mujer es evacuada en una balsa en medio de las inundaciones dejadas por el huracán Iota en Cartagena, Colombia, el 14 de noviembre de 2020.
Una mujer es evacuada en una balsa en medio de las inundaciones dejadas por el huracán Iota en Cartagena, Colombia, el 14 de noviembre de 2020.

Miles de evacuados

Su rápido fortalecimiento llevó a las autoridades de naciones centroamericanas a evacuar a poblaciones vulnerables para reducir el impacto. Entre estos han sido evacuadas personas cuyas casas están situadas en zonas bajas próximas a la frontera entre Nicaragua y Honduras, por donde según los pronósticos podría tocar tierra el meteoro.

En Honduras, las evacuaciones obligatorias comenzaron antes del fin de semana. Hasta el domingo habían sido evacuadas 63.500 personas en 379 refugios sólo en la zona norteña, aunque todo el país estaba en alerta. Las autoridades de Nicaragua informaron que para última hora de la tarde del domingo, unas 1.500 personas, casi la mitad de ellas niños, habían sido evacuadas de zonas de baja altitud en el nordeste del país, incluidos todos los habitantes de Cayo Misquitos. No obstante, explicaron que en la zona había 83.000 personas en peligro.

Al momento de las evacuaciones en la costa nicaragüense ya se reportaban vientos y lluvias. Iota se convirtió en huracán el domingo de madrugada y ganó fuerza con rapidez. Se esperaba que pasara sobre o cerca de la isla colombiana de Providencia durante la noche.

La imagen publicada por la agencia Reuters el 14 de noviembre de 2020, muestra el impacto de las inundaciones provocadas por el huracán Iota en Cartagena, Colombia.
La imagen publicada por la agencia Reuters el 14 de noviembre de 2020, muestra el impacto de las inundaciones provocadas por el huracán Iota en Cartagena, Colombia.

Este mismo lunes, durante la rueda de prensa diaria, el portavoz de la ONU Stephane Dujarric indicó que en Centroamérica están aprovechando el trabajo previo y de respuesta puesto en curso por Eta, incluida proposiciones previas de suministros, como preparación para Iota.

Dujarric detalló que, como respuesta a Eta, ya siete miembros del equipo de Evaluación y Coordinación de Desastres de la ONU fueron enviados a Honduras para ayudar en las evaluaciones de necesidades, coordinación, y gestión de información.

Desde el viernes los meteorólogos del Centro Nacional de Huracanes de Estados Unidos habían advertido que Iota "pronto se convertirá en un huracán importante y peligroso" antes de impactar a Centroamérica.

Los meteorólogos dijeron que "se espera que Iota traiga vientos potencialmente catastróficos, marejadas ciclónicas potencialmente mortales y lluvias extremas en Centroamérica".

Iota ya es un sistema récord por ser la 30ma tormenta con nombre de esta extraordinaria temporada de huracanes del Atlántico. La rápida sucesión de meteoros ha atraído la atención al cambio climático, que según los científicos está causando tormentas más húmedas, fuertes y destructivas.

Este huracán sigue a Eta, que impactó a países centroamericanos como un huracán de categoría 4 y provocó la muerte de al menos a 120 personas debido a que las lluvias torrenciales causaron inundaciones repentinas y deslizamientos de tierra en partes de América Central y México. Luego serpenteó a través de Cuba, los Cayos de Florida y alrededor del Golfo de México antes de llegar a tierra nuevamente cerca de Cedar Key, en Florida, y atravesar Florida y las Carolinas.

Los pronósticos indican que Iota dejará caer 200 y 400 milímetros (entre 8 y 16 pulgadas) de lluvia en el norte de Nicaragua, Honduras, Guatemala y el sur de Belice, con hasta 750 milímetros (30 pulgadas) en puntos aislados. Costa Rica y Panamá también podrían experimentar fuertes lluvias y posibles inundaciones, dijo el Centro de Huracanes.

El final oficial de la temporada de huracanes es el 30 de noviembre.

Síganos en redes sociales

XS
SM
MD
LG