Enlaces para accesibilidad

El huracán Kristy se fortalece a categoría 2 en el océano Pacífico


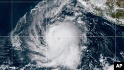
Esta imagen satelital proporcionada por la NOAA el 22 de octubre de 2024 muestra el huracán Kristy. (NOAA vía AP)
Esta imagen satelital proporcionada por la NOAA el 22 de octubre de 2024 muestra el huracán Kristy. (NOAA vía AP)

El huracán Kristy se fortaleció a categoría 2 en el océano Pacífico sur, cerca de la costa mexicana. Se esperaba que se intensificara con rapidez hasta categoría 3 el miércoles.

El huracán Kristy se fortaleció el miércoles a categoría 2 en el océano Pacífico y se esperaba que permaneciera lejos de tierra mientras ganaba fuerza con rapidez, según los meteorólogos.

La tormenta estaba 960 kilómetros (595 millas) al suroeste del extremo sur de la península de Baja California, en México, y se desplazaba al oeste a 31 kilómetros por hora (20 millas por hora). Sus vientos máximos sostenidos eran de 155 km/h (100 mph), según el Centro Nacional de Huracanes de Estados Unidos, con sede en Miami.

Kristy se convirtió el lunes en tormenta tropical en el Pacífico sur cerca de la costa mexicana antes de convertirse el martes en huracán de categoría 1. Se esperaba que se intensificara con rapidez hasta categoría 3 el miércoles.

Se esperaba que la tormenta continuara moviéndose por aguas abiertas sin amenazar tierra. No había alertas ni avisos costeros en vigencia.

En el océano Atlántico, Oscar se redujo a remanentes tropicales el martes tras tocar tierra en Cuba como huracán de categoría 1 el domingo. La isla se estaba recuperando de inundaciones y cortes de electricidad.

¡Conéctate con la Voz de América! Suscríbete a nuestros canales de YouTube, WhatsApp y al newsletter. Activa las notificaciones y síguenos en Facebook, X e Instagram.

Foro

Más noticias de América Latina

Suscríbete boletín de noticias

XS
SM
MD
LG